外来種のカミキリムシによる樹木被害が全国で拡大中です
令和5年9月1日から、国内の樹木に対する被害、生息範囲の拡大等により、すでに登録されていた「クビアカツヤカミキリ」に加え、「ツヤハダゴマダラカミキリ」「サビイロクワカミキリ」の2種が特定外来生物に指定されました。
… 特定外来生物とは(環境省)
3種に共通して、幼虫が成長するまでの段階で樹木を食い荒らすことによって枯死、落枝、倒木等の被害を引き起こし、農林業などに莫大な被害を与えることで知られています。
現在、鳥取県内での発見事例はありませんが、外来カミキリムシ種による被害状況は年々拡大しており、いつ米子市内で見つかってもおかしくありません。
外来カミキリムシを発見したら
もし外来カミキリムシ種と思われる成虫、または被害を受けた樹木等を見つけた場合は、米子市環境政策課または西部総合事務所環境・循環推進課にご連絡ください。
連絡先
米子市環境政策課:0859-23-5257
西部総合事務所環境・循環推進課:0859-31-9628
クビアカツヤカミキリ
- 特徴 体長:約2~4センチ 首の部分が赤く、全体は黒くつやがある。
- 被害 バラ科(モモなど)、サクラ類樹木
- 発生 2023年8月現在、市内での発生は確認されていません。

【クビアカツヤカミキリ】引用:埼玉県環境科学国際センター

【被害樹木から出たフラス(木くずとフンが混ざったもの)】引用:埼玉県環境科学国際センター
ツヤハダゴマダラカミキリ
- 特徴 体長:約2~3.5センチ 在来種のゴマダラカミキリとよく似ているが、首付近に白い模様がなく、はねの根元がつるつるしている。国際自然保護連合により「世界の侵略的外来種ワースト100」に認定されている。
- 被害 ヤナギ類、ニレ類、カツラなどの広葉樹
- 発生 2023年8月現在、市内での発生は確認されていません。

【ツヤハダゴマダラカミキリ】引用:神戸市ホームページ
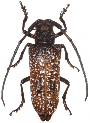
サビイロクワカミキリ
- 特徴 体長:約3~4センチ さび色の体に白い斑点模様。はねの根元がざらざらしている。
- 被害 エンジュ、イヌエンジュなどの樹木
- 発生 2023年8月現在、市内での発生は確認されていません。

【サビイロクワカミキリ】引用:福島県ホームページ
参考
… 福島県ホームページ「クビアカツヤカミキリ等について」
… 東京都ホームページ「クビアカツヤカミキリの被害が発生・拡大しています!」
… 神戸市ホームページ「外来種「ツヤハダゴマダラカミキリ」」
… 埼玉県環境科学国際センター「クビアカツヤカミキリの資料用画像素材集」
掲載日:2023年9月1日